Kinh tế đô thị 0
Ngân hàng đang nắm giữ khối bất động sản lớn cỡ nào?

Tại hầu hết ngân hàng, bất động sản chiếm phần lớn giá trị trong khối tài sản đảm bảo cho các khoản vay. Thậm chí, riêng giá trị khối bất động sản cao hơn nhiều so với dư nợ vay.

Kinh tế đô thị 0
TP.HCM muốn đấu thầu khu đất từng là dự án sân golf lớn nhất

Do nhiều công ty muốn tham gia dự án 18 năm trước được quy hoạch sân golf 250 ha nên thành phố sẽ chọn nhà đầu tư.

Môi trường 0
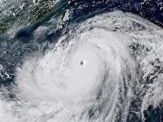
Miền Bắc Philippines tan hoang sau siêu bão Mangkhut, 25 người chết

Siêu bão Mangkhut với gió giật mạnh 260 km/h đã phá hủy nghiêm trọng tỉnh Cagayan, miền Bắc Philippines. Giới chức cho biết ít nhất 25 người thiệt mạng chủ yếu do lở đất.

Môi trường 0
Bão Mangkhut vào Trung Quốc, gây mưa ở một số tỉnh miền núi Việt Nam

Ngày 17-18.9, các tỉnh Đông Bắc có mưa to, riêng Lạng Sơn, Cao Bằng lượng mưa khoảng 150-200 mm.

Hạ tầng - Giao thông 0
Kiến nghị thu hồi quyền thu phí cao tốc TP.HCM - Trung Lương

Bộ GTVT vừa có báo cáo Thủ tướng các vướng mắc hợp đồng bán quyền thu phí trên cao tốc TP.HCM-Trung Lương.

Kinh tế đô thị 0
Tranh chấp diện tích căn hộ kéo dài: Kẻ nói đủ, người bảo thiếu

Với việc nhiều dự án chung cư xuất hiện tình trạng tranh chấp việc thiếu hụt diện tích so với hợp đồng, chuyên gia cho rằng khi mua bán cần thống nhất cách đo đạc trong hợp đồng.